2132 Andalusia, Canyon Lake, TX 78133
Property Photos

Would you like to sell your home before you purchase this one?
Priced at Only: $164,000
For more Information Call:
Address: 2132 Andalusia, Canyon Lake, TX 78133
Property Location and Similar Properties
- MLS#: 1873454 ( Land )
- Street Address: 2132 Andalusia
- Viewed: 21
- Price: $164,000
- Price sqft: $0
- Waterfront: No
- Year Built: Not Available
- Bldg sqft: 0
- Days On Market: 132
- Additional Information
- County: COMAL
- City: Canyon Lake
- Zipcode: 78133
- Subdivision: Alto Lago 1
- District: Comal
- Elementary School: Bill Brown
- Middle School: Smiton Valley
- High School: Smiton Valley
- Provided by: SATEX Properties, Inc.
- Contact: Joe Acosta
- (210) 744-7253
- DMCA Notice
-
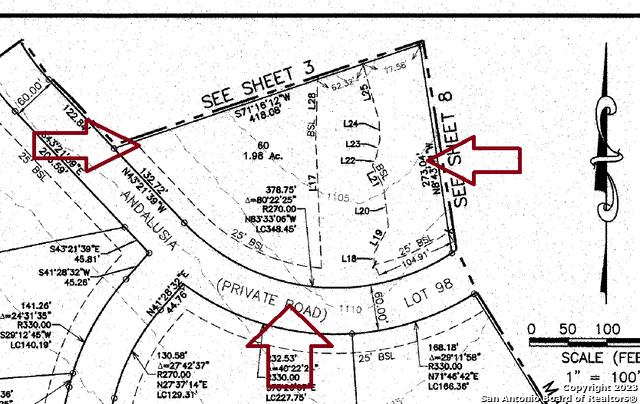
DescriptionCanyon Lake! This 1.98 acre +/ Texas Hill Country property is an exceptional location to build your dream home. The property is large enough to accommodate a spacious home with ample outdoor space for entertaining, gardening, and outdoor activities. You can take advantage of the natural terrain to create multi level outdoor spaces, including patios, decks, and gardens. The location of the property allows has easy access San Antonio, Austin, New Braunfels and major roads, making it convenient for commuting
Payment Calculator
- Principal & Interest -
- Property Tax $
- Home Insurance $
- HOA Fees $
- Monthly -
Features
Building and Construction
- Front Footage: 132
- Frontage: County Road
- Source Sqft: Appsl Dist
- Terrain: Gentle Slope
Land Information
- Total Acres: 1.98
School Information
- Elementary School: Bill Brown
- High School: Smithson Valley
- Middle School: Smithson Valley
- School District: Comal
- School Tax: 1683
Eco-Communities
- Septic System: Required
- Trees: Mature
Utilities
- Utilities Available: Water System, Electric, Telephone, Other
- Utilities On Site: Water on Site, Electric, Telephone, Other
Finance and Tax Information
- Days On Market: 902
- Home Owners Association Fee: 250
- Home Owners Association Frequency: Annually
- Home Owners Association Mandatory: Mandatory
- Home Owners Association Name: CORDOVA BEND POA
- Total Tax: 2379
Other Features
- Contract: Exclusive Agency
- Depth Feet: 418
- Description: Undeveloped, Wooded, Irregular, Partial Cleared
- Improvements: Paved Roads
- Instdir: From 281N-Turn Right on Rebecca Creek Rd- T-Right on Demi John Bend, T-Right on Cordova Bend, and go through the gate. Turn right on Alto Lago. Turn Right on Malbec Loop. Turn left on Andalusia. The property is on left.
- Legal Desc Lot: 60
- Legal Description: ALTO LAGO UNIT 1, LOT 60, PLAT 201606049273 Comal County
- Location: In Subdivision, Canyon Lake
- Ph To Show: 210-222-2227
- Restrictions: Easements, Building, No Farm Animals, Use Restrictions, No Mnfct Homes
- Site Area Features: Dock, Fishing, Clubhouse, Playground/Park, Neighborhood Pool, Lake
- Views: 21
- Zoning: RESIDENTIAL
Owner Information
- Owner Lrealreb: No
Similar Properties
Nearby Subdivisions
A-452 Sur- 4 M W Potter
Alto Lago
Alto Lago 1
Arrowhead
Astro Hills
Avonlea
Canyon Lake
Canyon Lake Acres
Canyon Lake Estates
Canyon Lake Estates 1
Canyon Lake Estates Section 1
Canyon Lake Forest
Canyon Lake Forest 1
Canyon Lake Forest 2
Canyon Lake Forest 3
Canyon Lake Hills
Canyon Lake Hills 2
Canyon Lake Hills 3
Canyon Lake Hills 4
Canyon Lake Hilols
Canyon Lake Island
Canyon Lake Shores
Canyon Lake Shores 1
Canyon Lake Village
Canyon Lake Village 3
Canyon Lake Village West
Canyon Lake Village West 5
Canyon Spgs Resort 1
Canyon Spgs Resort 4
Canyon Springs Resort
Canyon Springs Resort 5
Canyon Valley Estates
Clear Water Estates
Clearwater Estates 1
Cordova Bend
Cordova Bend Canyon Lake 1
Cranes Mill Landing
Deer Meados
Deer Meadows
Deer Meadows Ph 4
Devils Backbone
Devils Backbone Heights
Eden Ranch
Eden Ranch 5
Eden Ranch 6
El Dorado Heights
El Dorado Heights 3
Emerald Valley
Ensenada Shores
Ensenada Shores At Canyon Lake
Estates Rancho Del Lago 6
First Mountain
Five Oaks
Hancock Oak Hills
Heritage Estates
Hillcrest Estates
Kings Cove
Kings Point 3
Kynto
Lake Ridge At Canyon Lake
Lake Ridge At Canyon Lake 1
Lake View Park
Lakeview Heights
Lakewood Estates
Lakewood Hills
Las Brisas
Las Brisas At Ensenada Shores
Morrwoods Ranch
Mountain Spgs Ranch 3
Mountain Springs Ran
Mountain Springs Ranch
Mountain Springs Ranch 2
Mountain Springs Ranch 3
Mountain Srings Ranch
Mystic Bluffs
Mystic Shores
N/a
Na
Netherhill Place
Oak Shores Estates
Paradise On The Guadalupe
Paradise On The Guadaupe
Point At Rancho Del Lago
Point Rancho Del Lago 5
Rebecca Creek Ranches 2
Rinconada Heights
Rocky Creek
Rocky Creek Ranch
Rocky Creek Ranch 6
Rocky Creek Ranch 9
Rolling Hills Estates 1
Rolling Hills Estates 2
Rural Acres
Scenic Heights
Scenic Heights 1
Scenic Heights 2
Scenic Terrace
Scenic Terrace 1
Shamrock
Skyline
Skyline Acres
Spring Mountain
Spring Mountain 1
Summit North
Summit North Ph 2
Tamarack Shores
Tamarack Shores 2
Tanglewood Shores
The Cedars
The Enclave
The Enclave @ Canyon Lake
The Enclave At Canyon Lake
The Oaks
Tom Creek Acres
Tranquility Park
Triple Peak Ranch
Waterfront Park
Westhaven
Woodlands